Ce séminaire présenté par Isabelle Thinon (BRGM), co-cheffe de mission de la campagne, portait sur le Projet ANR COYOTES (COmores & maYotte : vOlcanisme, TEctonique et Sismicité).
Isabelle Thinon récapitule d’abord l’histoire de la crise sismo-volcanique de Mayotte, remarquable par ses manifestations : (1) une sismicité intense, de longue durée, anormalement profonde (dans le manteau) et toujours active aujourd’hui, dans une zone classée auparavant comme modérée ; (2) une déformation de l’île importante et rapide, de juillet 2018 à fin 2020, marquée par une subsidence de sa partie orientale de 10 à 19 cm et un déplacement vers l’Est de 20 à 25 cm ; et (3) deux découvertes spectaculaires : (a) un nouvel édifice volcanique sous-marin en éruption, le Fani Maoré (hauteur 820 m, diamètre 5 km, à ~3400 m de profondeur et 50 km de Mayotte), avec un volume de magma émis de ~6.4 km3 et un activité maintenue jusqu’à fin 2020, et (b) des émissions actives de fluides (CO2, CH4) au-dessus des sites du Fani Maoré et aujourd’hui encore du Fer à Cheval.
Vient alors le temps des questions en suspens concernant cet évènement magmatique exceptionnel, notamment sur les types de volcanisme et les processus en cours, la « plomberie magmatique », le contexte géodynamique et géologique régional et local, les évènements comparables éventuels dans le passé, et les aléas et risques associés. Avant cette crise, il y avait peu de données précises disponibles sur cette zone de l’archipel des Comores, dont la nature volcanique était connue mais faisait l’objet de débats controversés sur ses liens avec les systèmes de rift voisins (rift Est-Africain à l’Ouest, Rift Malagasy (Madagascar) à l’Est) et sur les modes et la distribution des déformations existant sur cette limite diffuse entre les plaques lithosphériques Lwandle et Somalie, correspondant à un grand décrochement dextre (voir flèches bleues dans l’encadré noir, Figure 1 ci-contre, extraite de Thinon et al., 2022).


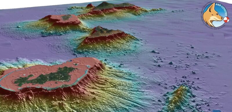
Grâce aux nouvelles données acquises sur tout l’archipel (campagnes SISMAOR, SCRATCH, GEOFLAMME, MAYOBS et levés SHOM), des compilations bathymétriques ont été réalisées, révélant deux grandes provinces volcaniques, Mwezi et N’Droundé (Figure 2), s’étendant sur ~4000 et 6000 km2, avec plus de 2400 édifices volcaniques de taille comparable ou inférieure à celle du Fani Maoré, ~3000 km2 de coulées de laves, ~1000 km2 de plis forcés de sills magmatiques et de nombreuses fissures éruptives, failles et grabens. C’est donc un système volcanique de 700 km de long et plus de 200 km de large, qui correspond typiquement à une limite de plaque immature (en cours de formation).
Figure 2. Structures volcaniques identifiées sur le fond marin dans l’archipel des Comores (extrait de Paquet et al., 2025 ; Thinon et al., 2022) sur fond bathymétrique établi par S. Saragozi (EPOC, comm. pers.).
Par ailleurs, la datation des roches volcaniques prélevées sur l’ensemble de l’archipel, à terre et en mer, a révélé des âges compris entre 9 Ma et 8000 ans, indiquant que l’ensemble de l’archipel doit être considéré comme une zone volcanique active (âges inférieurs à 10 000 ans). Grâce aux données d’imagerie sismique profonde, il a été possible de définir l’extension de la base des édifices volcaniques sous le fond marin, dont les îles ne sont que la partie émergée (Figure 3) : ainsi, l’édifice volcanique de Mayotte s’étend en fait sur environ 250 km de large, sous 1 à 2 km de sédiments, s’étant formé progressivement durant 28 Ma en plusieurs phases (Figure 3). L’extension des édifices de la Grande Comore, de Moheli et de Zélée, en plusieurs phases d’âges variables, a aussi pu être déterminée (Figure 3).
Figure 3. Extension des édifices volcaniques majeurs dans le canal du Mozambique, avec les âges du début de leur formation. Teintes bleues: Mayotte; jaunes: Grande Comore; vertes: Moheli; violettes: Zélée). Modifié d’après Masquelet et al. (2025).

Enfin, la chronologie des événements volcaniques dans le canal du Mozambique nord a pu être précisée :
La Figure 4 représente l’ensemble des structures imagées sous Mayotte par une vue en perspective depuis la surface jusqu’à plus de 8 km de profondeur, mettant en évidence l’édifice volcanique Fani Maoré en fond de mer (en violet), mais aussi :

Pour en savoir plus: voir présentation du Projet COYOTES sur le site de l’ANR
Pour en savoir un peu plus encore: voir site de geocean.net détaillant le projet COYOTES